
A redução da perda da biodiversidade e a promoção do uso sustentável de recursos naturais é um compromisso global assumido por 140 nações signatárias da Convenção sobre Diversidade Biológica (CDB). O tratado internacional tem relação com o 14.º Objetivo de Desenvolvimento Sustentável (ODS), que visa a adoção de medidas para preservar e usar de forma sustentável oceanos, mares e recursos marinhos até 2020. Contudo, diante da atual crise da biodiversidade, os objetivos são ousados.
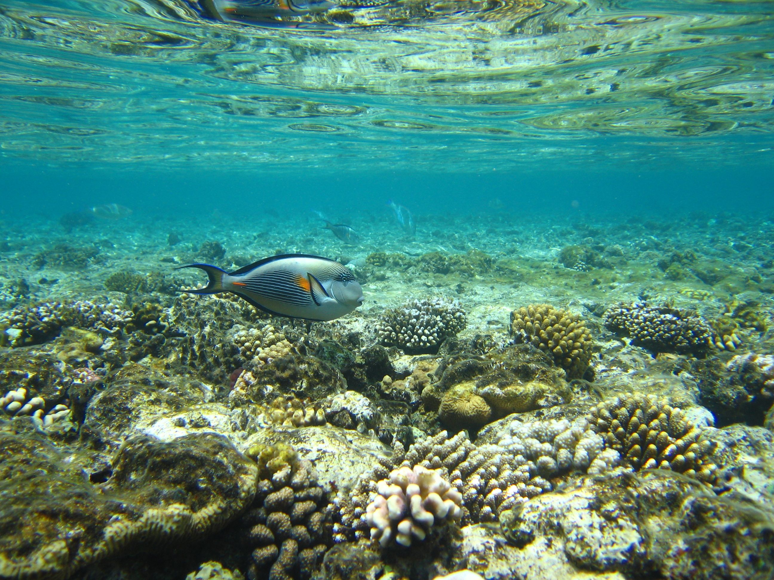
Um dos temas mais debatidos recentemente está relacionado com a cobertura de unidades de conservação marinha (UCM). Estabelecer esse tipo de área é uma das melhores estratégias para a conservação da biodiversidade e sustentabilidade dos recursos marinhos, pois envolve o manejo em nível de ecossistema. Entretanto, um dos maiores desafios é criar e manejar UCMs em áreas prioritárias para a conservação, pois normalmente estas são áreas de alta diversidade biológica e de alto conflito de usos, onde diversas atividades humanas são praticadas. Ambientes costeiros como mangues, recifes de coral e costões rochosos são os mais vulneráveis.
A melhor estratégia para se remediar a perda da biodiversidade marinha seria focar na proteção do máximo de espécies ameaçadas e ecossistemas por área protegida. A conservação da biodiversidade e sustentabilidade dos recursos depende de unidades de conservação conectadas e que abriguem, de forma homogênea, a diversidade de ecossistemas presentes ao longo da linha costeira.
Países como Palau e Costa Rica estão dando exemplo de desenvolvimento sustentável e proteção da biodiversidade
O manejo pesqueiro e o controle da sobrepesca são vistos como um dos principais objetivos do ODS 14. Uma das estratégias é a valorização da pesca artesanal e o controle de atividades pesqueiras destrutivas, que causam danos aos ecossistemas e que não têm seletividade nas capturas. Entretanto, muitos países, incluindo o Brasil, caminham em sentido contrário, criando subsídios para a pesca industrial e removendo benefícios de pescadores de pequena escala.
Alternativas envolvem o estabelecimento de territórios tradicionais de pesca, onde somente pescadores locais possam pescar, o que tornaria mais fáceis o manejo e o controle do esforço de pesca. O ordenamento e a fiscalização da captura de espécies ameaçadas de extinção e tamanhos mínimos de capturas também são passos importantes para se atingir os objetivos.
A poluição dos mares e o aquecimento global são problemas graves que estão chamando bastante a atenção da sociedade. A ingestão de plásticos tem causado a morte de milhares de animais marinhos anualmente e o aquecimento dos oceanos tem causado o branqueamento e a morte de ecossistemas de coral em todo o mundo. Atividades portuárias desenvolvem dragagens periódicas e despejam toneladas de sedimento sobre os ambientes costeiros, soterrando grandes áreas de habitats naturais.
Em vez de aplicar leis mais restritivas, visando a qualidade de vida humana e saúde ambiental, países em desenvolvimento como o Brasil estão afrouxando as regras para empresas poluidoras. Como consequência, impactos e desastres ambientais são frequentes, o que acelera a perda da biodiversidade e de oportunidades de desenvolvimento sustentável.
Apesar dos desafios, temos esperança. O grande número de nações comprometidas com os objetivos da Convenção sobre Diversidade Biológica é um considerável sinal positivo. Alguns países como Palau e Costa Rica estão dando exemplo de desenvolvimento sustentável e proteção da biodiversidade. Países em desenvolvimento, como Brasil, China e Filipinas, estão comprometidos em financiar iniciativas de proteção e manejo dos ecossistemas costeiros.
A participação de pescadores no manejo e na conservação dos recursos marinhos tem gerado resultados positivos e o Projeto Tamar, no Brasil, é referência mundial nesse tema. Estados como Califórnia e São Paulo têm criado áreas marinhas protegidas ao longo de suas zonas costeiras com o potencial de desenvolvimento sustentável de atividades pesqueiras e turismo. Países e empresas estão investindo na proteção de ambientes costeiros, visando a diminuição de estragos causados por distúrbios ambientais, como tempestades e enchentes.
Uma vez que grande parte da população vive perto da zona costeira, o investimento em educação ambiental é necessário para engajar a sociedade na luta para a manutenção de sua própria qualidade de vida e dos serviços ecossistêmicos providenciados pelos oceanos. Cientistas, cidadãos e tomadores de decisão precisam trabalhar juntos para multiplicar essas iniciativas positivas e reforçar a esperança para a conservação e sustentabilidade da biodiversidade e de ecossistemas marinhos no Brasil e no mundo.







